1093
6 LOTES DISPONÍVEIS
Venda Direta Civia- Imóveis SC e PR

VENDA DIRETA CIVIA- IMÓVEIS SC E PR

VENDA DIRETA: SEX. - 28/08/2026 00:00
TIPO DE PREGÃO PRESENCIAL E ONLINE
LEILOEIRO GIOVANNI WERSDOERFER
MODO DE VISUALIZAÇÃO:
DESCRIÇÃO

VENDA DIRETA COOPERATIVA DE CRÉDITO DA REGIÃO DO CONTESTADO - CIVIA, CNPJ n° 10.218.474/0001-68

 

O LEILOEIRO PÚBLICO OFICIAL, Giovanni Wersdoerfer, matrícula nº AARC/141, devidamente autorizado pela COOPERATIVA DE CRÉDITO DA REGIÃO DO CONTESTADO - CIVIA, CNPJ n° 10.218.474/0001-68, torna público que submeterá à venda direta os imóveis abaixo descritos:

 

Data limite de recebimento de proposta: 28/08/2026

 

BENS EM LEILÃO:

 

TEM 01: IMÓVEL DE MATRÍCULA SOB Nº 7.765 - 1º OFÍCIO DE REGISTRO DE IMÓVEIS DA COMARCA DE MAFRA/SC.

IDENTIFICAÇÃO DO IMÓVEL: Terreno rural, de cultura, sem benfeitorias, sem denominação especial, com a área de 31.632,00m² (trinta e um mil, seiscentos e trinta e dois metros quadrados) situada no lugar Vila Nova, distrito da Sede deste Município, confrontando- se com terras de Eduardo Grams, Ricardo Hurbes, Julio Gelinski, herdeiro de André Buba e com terras de José Buba.

VALOR: R$350.000,0

 

ITEM 02: IMÓVEL DE MATRÍCULA SOB Nº 16.852- OFÍCICIO DE REGISTRO DE IMÓVEIS DA COMARCA DE RIO NEGRINHO.

IMÓVEL: Um terreno urbano, situado no lado ímpar da Rodovia BR-280, Bairro Bela Vista, nesta cidade e Comarca de Rio Negrinho- SC, contentando a área de 15.582,69m² (quinze mil, quinhentos e oitenta e dois metros e sessenta e nove decímetros quadrados), sem benfeitorias, com as seguintes medidas e confrontações... [conforme descrito na matrícula].

VALOR: R$1.250.000,00

 

ITEM 03: IMÓVEL DE MATRÍCULA SOB Nº 27.097- OFÍCIO DE REGISTRO DE IMÓVEIS DE JARAGUÁ DO SUL/SC.

IDENTIFICAÇÃO DO IMÓVEL: O terreno com a área de (700,00m²), sem benfeitorias, constante do lote nº 04, situado no lado par da Rua 126- Sem Nome, em Corupá- SC, nesta Comarca, distante da esquina com a Rua 127- Sem Nome 32,00 metros, fazendo frente em 16,00 metros com a Rua 126- Sem Nome, travessão dos fundos em 16,00 metros em terras de Adalbert Parey e Fredi Joachim Parey, estrema do lado direito em 43,75 metros com o lote nº 03 de Dolores Darci Parey Junckes, e pelo lado esquerdo em 43,75 metros, com o Lote nº05 de Arlete Bleich.

VALOR: R$220.000,00

 

 

 

 

 

ITEM 04: Matrícula nº 18.918- 2º Ofício de Registro de Imóveis da Comarca de Irati- PR.

Imóvel: Lote de terreno urbano nº1-C, originário da unificação dos lote 01, 02, 04, 05, 06, 07, 08, 15, 16, 17, 18, 19, 20, 21 e 22 da Quadra S da Planta do Loteamento Vila Requel , situado na Rua Londrina, lado par, esquina com a Rua Jandaia do Sul, lado par, bairro Lagoa, cidade Irati, PR, com a área de 420,00m², com a seguinte descrição técnica [conforme descrição que consta na matrícula...].

VALOR: R$52.000,00

 

ITEM 05: Matrícula 21.826- 2º Ofício de Registro de Imóveis da Comarca de Irati- PR.

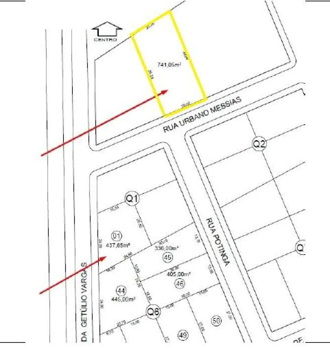
Imóvel: Lote de terreno urbano denominado nº 01ABC-2, desdobro do lote nº 01-ABC, situado na Rua Urbano Messias, distante a 29,20 metros da Avenida Getúlio Vargas, lado par, bairro Lagoa, cidade de Irati, PR, com a área de 741,05m², com a seguinte descrição técnica [conforme descrição que consta na matrícula...]

VALOR: R$340.000,00

 

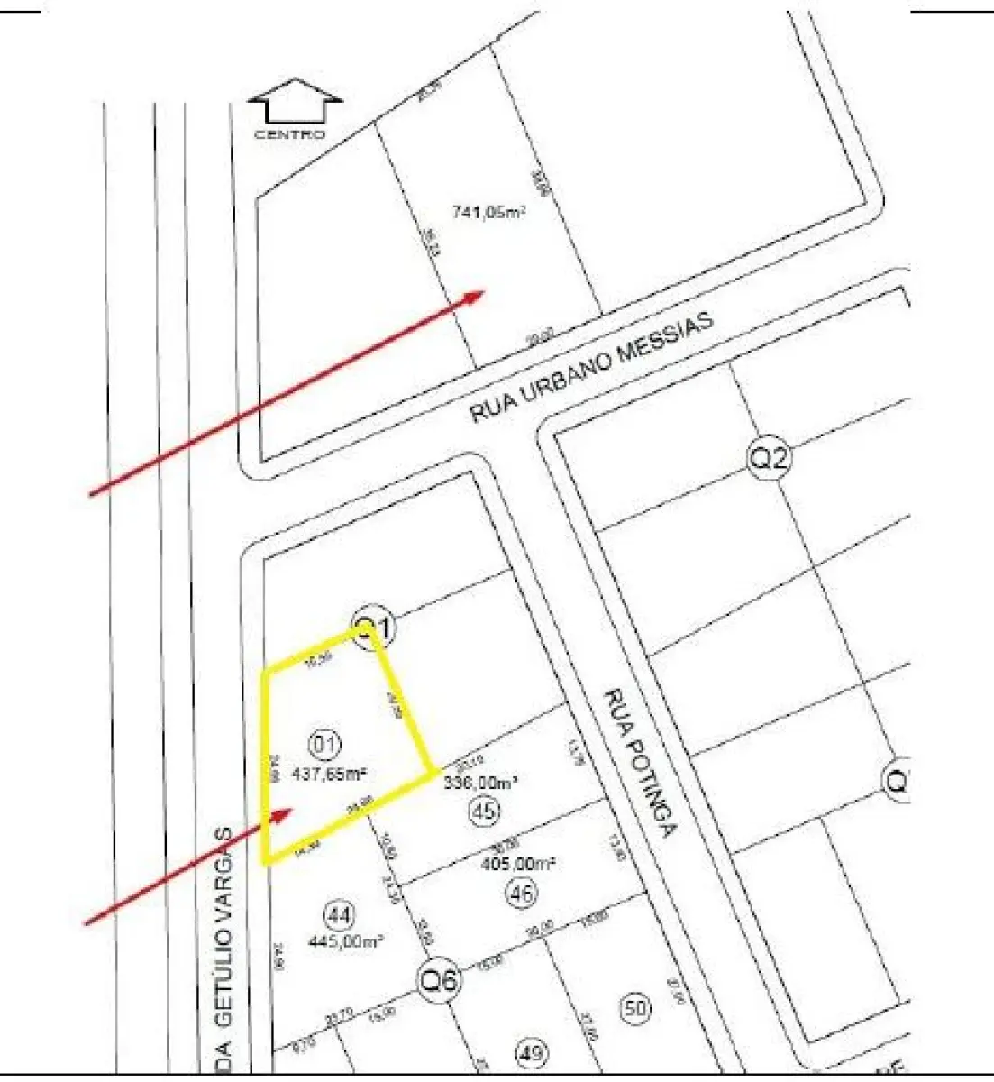
ITEM 06: Matrícula nº 15.960-2º Ofício de Registro de Imóveis da Comarca de IratiPR.

Imóvel: Lote nº 01. Quadra 01. Loteamento Bom Jesus. Avenida Presidente Getulio Vargas, distante 15,10 metros da Rua Urbano Messias, bairro Lagoa, cidade de IratiPR, de formato irregular, com área de 437,65m², com as seguintes medidas e confrontações: Frente para a Avenida Presidente Getúlio Vargas, pela distância de 25,00 metros. Lateral direita, de quem da rua o observa, confronta com os lotes nº44 (mat nº14.957), e parte do lote nº45 (mat. 14.958), pela ditância de 24,86 metros. Lateral esquerda, de quem do mesmo ponto o observa, confronta com o lote 03

(matr. 15.962), pela distância de 15,55 metros. Fundos, confronta com o lote nº 02 (mat 15.961), pela distância de 20,85 metros.

Valor de avaliação: R$215.000,00

 

 

CONDIÇÕES

 

1)    Os lances online serão recepcionados pelo site do leiloeiro (hastapublica.lel.br), sendo aceito lances a qualquer momento por se tratar de uma venda direta, sendo que os imóveis são de exclusividade de venda deste Leiloeiro e a participação dos interessados será mediante cadastro prévio no próprio site, de acordo com as condições ali previstas, com base na Lei 13.138/2015.

2)    O pagamento será a vista, em favor da COOPERATIVA DE CRÉDITO DA REGIÃO DO CONTESTADO - CIVIA, CNPJ n° 10.218.474/0001-68.

3)    Caso o arrematante queira parcelar o valor da arrematação, será aceito o pagamento por financiamento bancário, própria Cooperativa ou por outro IF. O financiamento deverá ser analisado e aprovado previamente, nos Postos de Atendimento da Civia ou com documento que comprova a aprovação em outra IF, a qual emitirá declaração que deverá ser apresentada no ato da arrematação na venda direta.

4)     O comprador deverá efetuar o pagamento integral, conforme mencionado acima, do valor do Bem comprado, sendo pagamento através de TED, pix ou financiamento bancário em até 48 horas após encerrado a venda. Na hipótese do comprador não honrar o pagamento, o lote volta a venda.

5)    O comprador deverá pagar à vista, a título de comissão, o valor integral correspondente a 5% (cinco por cento) sobre o preço total de arrematação do imóvel, a ser pago diretamente ao leiloeiro após o encerramento do leilão. Sendo certo que é de total responsabilidade do arrematante efetuar os pagamentos no prazo correto. A comissão devida ao leiloeiro não está incluída no valor do lance e não será devolvida ao arrematante em nenhuma hipótese, salvo se a arrematação for desfeita por determinação judicial por razões alheias à vontade do arrematante, hipótese em que serão deduzidas todas as despesas incorridas na realização do leilão.

6)    As despesas necessárias para a transferência, tais como escritura, obtenção de guias, declarações, pagamento de taxas, impostos, emolumentos, registros e etc., serão de responsabilidade do adquirente.

7)     O imóvel será ofertado à venda como coisa certa e determinada (venda “ad-corpus”), sendo apenas enunciativas as referências neste edital, e será vendido no estado de ocupação e conservação em que se encontra, ficando a cargo do adquirente a sua desocupação (art. 30 da Lei 9.514/97), bem como a realização de reformas, cabendo ao interessado verificar estas situações antes de concluir a compra. Se o imóvel encontrar-se ocupado, será de responsabilidade do comprador as medidas necessárias à imissão de posse.

8)    O adquirente, não ocupante do imóvel, declara-se ciente e plenamente informado de que sobre o referido bem podem pender débitos de natureza fiscal (IPTU), e condomínio, sendo tais débitos gerados até a data da venda de responsabilidade do atual proprietário.

9)    Existindo benfeitorias não averbadas, a regularização ficará sob responsabilidade do comprador.

INFORMAÇÕES ADICIONAIS com Giovanni Wersdoerfer, telefone 47 93380-9279, (47) 9 8849-3886, e-mail: [email protected].;

 

Giovanni S. Wersdoerfer

Leiloeiro Público Oficial

LOTES
Utilize este menu para navegar entre os lotes
LOTE 001
favorite_border

Terreno de 31.632,000 m², localizado na Estrada geral, S/N, Bairro Vila Nova

TEM 01: IMÓVEL DE MATRÍCULA SOB Nº 7.765 - 1º OFÍCIO DE REGISTRO DE IMÓVEIS DA COMARCA DE MAFRA/SC. IDENTIFICAÇÃO DO IMÓVEL: Terreno rural, de cultura, sem benfeitorias, sem denomi...
Lance Inicial R$ 350.000,00
Seja o primeiro a enviar um lance
LOTE 002
favorite_border

Terreno 15.582,69 m², na Rodovia BR-280, S/N, Bairro Bela Vista, em Rio Negrinho/ SC.

ITEM 02: IMÓVEL DE MATRÍCULA SOB Nº 16.852- OFÍCICIO DE REGISTRO DE IMÓVEIS DA COMARCA DE RIO NEGRINHO. IMÓVEL: Um terreno urbano, situado no lado ímpar da Rodovia BR-280, Bairro B...
Lance Inicial R$ 1.250.000,00
Seja o primeiro a enviar um lance
LOTE 003
favorite_border

Imóvel na Rua Joachim Parey, nº 240, no bairro Pedra de Amolar, em Corupá/SC,

ITEM 03: IMÓVEL DE MATRÍCULA SOB Nº 27.097- OFÍCIO DE REGISTRO DE IMÓVEIS DE JARAGUÁ DO SUL/SC. IDENTIFICAÇÃO DO IMÓVEL: O terreno com a área de (700,00m²), sem benfeitorias, cons...
Lance Inicial R$ 220.000,00
Seja o primeiro a enviar um lance
LOTE 004
favorite_border

Terreno de 420,00 m², na Rua Jandaia do Sul esquina com Rua Londrina, S/N, Lagoa em Irati/PR

ITEM 04: Matrícula nº 18.918- 2º Ofício de Registro de Imóveis da Comarca de Irati- PR. Imóvel: Lote de terreno urbano nº1-C, originário da unificação dos lote 01, 02, 04, 05, 06, ...
Lance Inicial R$ 52.000,00
Seja o primeiro a enviar um lance
LOTE 005
favorite_border

Terreno 741,05 m², Rua Urbano Messias, S/N, Lote nº 01ABC-2, Lagoa em Irati/PR,

ITEM 05: Matrícula 21.826- 2º Ofício de Registro de Imóveis da Comarca de Irati- PR. Imóvel: Lote de terreno urbano denominado nº 01ABC-2, desdobro do lote nº 01-ABC, situado na Ru...
Lance Inicial R$ 340.000,00
Seja o primeiro a enviar um lance
LOTE 006
favorite_border

Terreno 437,65 m², na Avenida Presidente Getúlio Vargas, S/N, Lagoa em Irati/PR,

ITEM 06: Matrícula nº 15.960-2º Ofício de Registro de Imóveis da Comarca de IratiPR. Imóvel: Lote nº 01. Quadra 01. Loteamento Bom Jesus. Avenida Presidente Getulio Vargas, distant...
Lance Inicial R$ 215.000,00
Seja o primeiro a enviar um lance